Casal descobre que filha não tem DNA deles e caso explode na Justiça
Tiffany Score e Steven Mills, da Flórida, dizem que vão criar a menina mesmo após o teste apontar troca de embriões em 2025.
Tiffany Score e Steven Mills, da Flórida, dizem que vão criar a menina mesmo após o teste apontar troca de embriões em 2025.
Homem desapareceu nos Estados Unidos depois de um buraco se abrir e bombeiros fazerem buscas.
Software de vigilância escolar identificou a mensagem, e aluno foi entregue à custódia juvenil.
Por mais de dez anos, o idoso de 78 anos frequentava diariamente o restaurante.
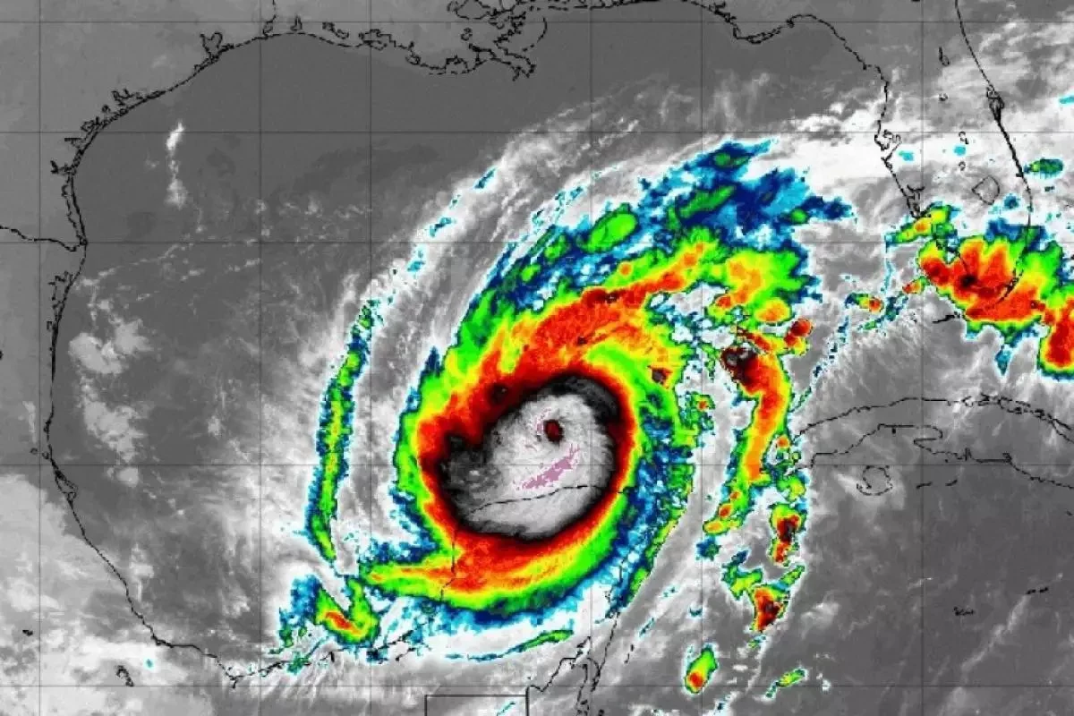
O desastroso Furacão Milton causou uma grande destruição ao passar pelos Estados Unidos.
Furacão foi rebaixado para a categoria 1, mas causou estragos e mortes.
A primeira boa notícia sobre o furacão Milton acende um fio de esperança nos moradores da Flórida.
Tempestade provocada pelo furacão Milton atingiu milhões de pessoas nos Estados Unidos.
Autoridades acreditam que o furacão irá ser o maior de todos os tempos a atingir a Flórida, nos EUA.
A famosa empresária JujuDiCasa, que atua na Flórida, facilita todo o processo para quem deseja adquirir um imóvel no estado norte-americano.
Um grupo de 7 tubarões-martelo rodearam a bóia de 3 banhistas na praia.

Acompanhe tudo pelo WhatsApp. Entre em nosso canal e fique por dentro das principais notícias em primeira mão!
Entrar no canal